|
|
|

愛知県で農林水産大臣が許可する沖合い底びき網漁業の4隻は、蒲郡漁業協同組合の所属船です。内西浦・形原支所に2隻づつあります。
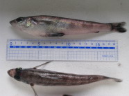
この船が漁獲するアオメエソ(通称めひかり)をこの度蒲郡のブランド魚にする所存であります。この魚は、見た目は、悪いが味がタンパクで大変美味です。刺身・塩焼き・から揚げ・干物と色々な料理方法が有り近年大変需要価値が出てきた魚種です。 |
[ あおめえそ科 ]
体は、円筒型で細長く、頭部は、縦扁。目は大きく光り輝いている。
体長10cm〜20cmあり海底200〜400m付近に生息しており深海底生性で底びき網で漁獲される。
魚小サイズは、佃煮・から揚げ用に中から大サイズは、刺身・フライ・干物用すれば、大変美味です。
|
 |
お買い求め
西浦鮮魚マーケット・西浦石川商店・西浦ヤマ基水産・形原山本水産・他
料理店
西浦魚丈本館(コース料理有り)・西浦食事処いちふく・西浦喜多・西浦清乃家・他
|
 |
ブランド化に向けてのニュース等
*東愛知新聞搭載記事 平成20年8月16日
*東愛知新聞搭載記事 平成21年2月25日
|
|
|
| Copyright(c) http://gamagori-gyokyo.com/ All rights reserved |
|